• Bursa, Türkiye
  • 22 Mart 2026, Pazar
  • 7° HAFİF YAĞMURLU
news
Gündem

Kocaeli’de 3 milyonluk sahte giyim ürünü ele geçirildi

Kocaeli’de yapılan operasyonda piyasa değeri yaklaşık 3 milyon 125 bin TL olan bin 250 adet ünlü markalara ait sahte giyim ürünü ele geçirildi. Kocaeli İl Jandarma Komutanlığınca kaçakçılık suçları ile mücadele kapsamında sürdürülen istihbari ve saha...

DEVAMINI OKU
news

Milyonluk yarış atları da su altında kaldı

Bursa’nın Karacabey ilçesindeki Uluabat Gölü’ne yakın milyonluk yarış atlarının...

news

İBB, yolu elektrik trafosuyla kapattı; vatandaşlar tepk...

İstanbul Büyükşehir Belediyesi (İBB) tarafından Şişli Meşrutiyet Mahallesi’nde b...

news

Yazın su kesintisi yaşayan Bursa’nın barajlarından güze...

Bursa’da yağışlar ve zirvedeki karların erimeye başlamasının etkisiyle Uludağ’ın...

news

Gökçeada’da kıyıya vuran caretta caretta vatandaşların...

Çanakkale’nin Gökçeada ilçesinde sahile vuran caretta caretta duyarlı vatandaşla...

news

Tekirdağ’da uyuşturucu operasyonlarında 179 şahsa işlem...

Tekirdağ genelinde 11 ilçede 62 mahallede yapılan 149 uygulamada 179 şahsa adli...

news

Katar için üretilen hücumbotları suya indirildi

Tuzla’da Katar Deniz Kuvvetleri için inşa edilen iki adet 50 metre güdümlü mermi...

news

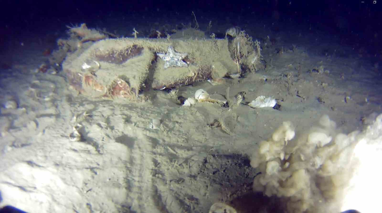
Marmara Denizi’ne 51 yıl önce düşen THY uçağına ait yen...

Türk Hava Yolları’na ait ve 30 Ocak 1975’te Marmara Denizi’ne düşen "Bursa" adlı...

news

Bursa’da 8 mahallenin su sorunu çözülüyor

Bursa’da su sıkıntısı yaşanmaması için altyapı yatırımlarına devam eden Bursa Bü...

news

Bursa’da film gibi zehir baskını...Dilenci kılığındaki...

Bursa’da uyuşturucu madde ticareti ve ruhsatsız silah bulundurulduğu belirlenen...